갈졸참나무

출처 : 국립수목원 어린이 생물도감 API 를 사용 중 입니다.

갈졸참나무 / Quercus urticifolia Blume

  식물

  참나무속 / Quercus

  참나무과 / Fagaceae

요약설명 : 참나무과 낙엽 활엽 교목으로 중부 이남에 분포한다.
분포지역 : 중부 이남에 분포한다.
형태 : 낙엽 활엽 교목
크기 : 높이는10-40㎝
꽃색 : 갈색
개화기 : 5월
갈참나무와 졸참나무의 잡종이다.
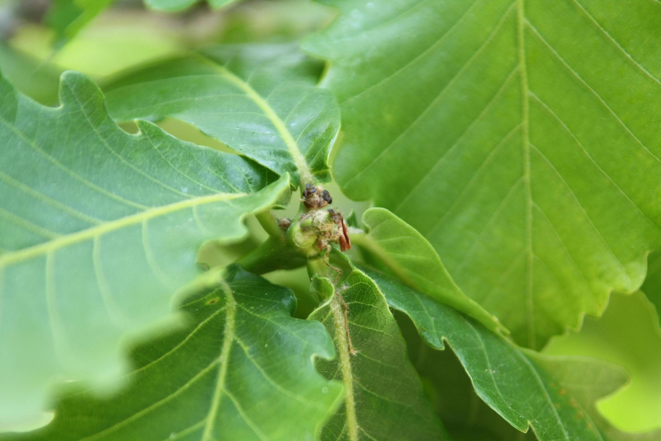
잎은 어긋나기하며 타원형이고 표면은 주맥 아랫쪽에만 털이 약간 있다. 잎 뒷면 주맥에도 짧은 털이 있으나 나중에 떨어지는 것도 있다. 잎자루의 털이 뒷면 주맥의 털과 같다. 잎 가장자리에는 약간 얕은 톱니가 있다.
꽃은 암수한그루이다. 수꽃 이삭은 밑으로 늘어지고, 암꽃 이삭은 꽃 1송이가 총포 속에 있다. 2~5개의 암술머리가 있다.
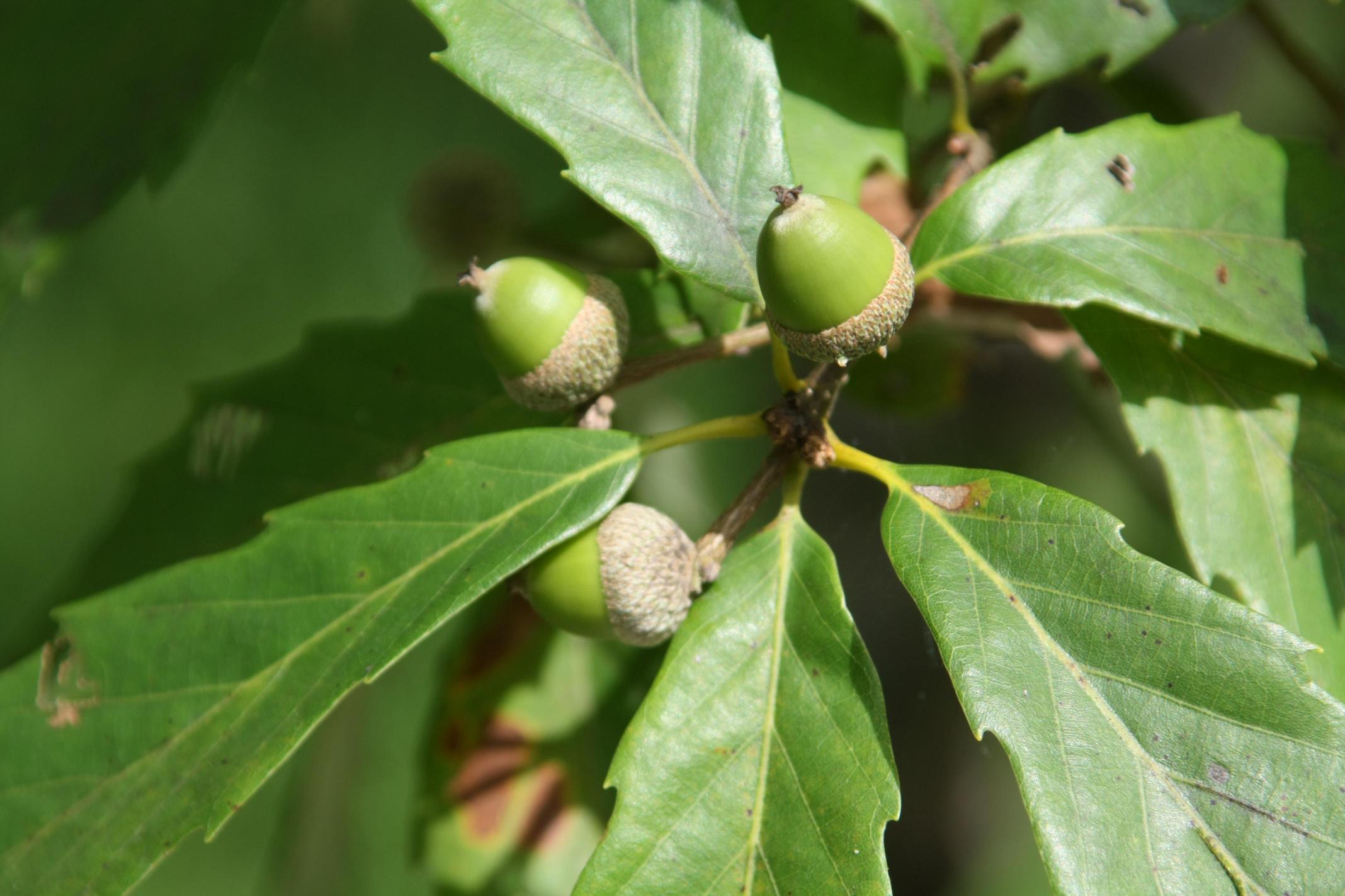
열매의 깍정이는 반구형이며 비늘잎으로 덮여 있으나 떡갈나무와 비슷해지는 것도 있다. 일년생가지는 털이 있거나 없고 일년생가지에 짧은 별모양 털이 빽빽하게 있다.