조도만두나무

출처 : 국립수목원 어린이 생물도감 API 를 사용 중 입니다.
"조도만두나무속" ( 0 건 / 총 0 건 )

조도만두나무 / Glochidion chodoense J.S.Lee & H.T.Im

  식물

  조도만두나무속 / Glochidion

  대극과 / Euphorbiaceae

요약설명 : 대극과 낙엽 관목으로 우리나라의 전라남도 진도군에서 자란다.
분포지역 : 한국(전라남도 진도군)
형태 : 낙엽 관목이다.
크기 : 수고 15m.
꽃색 : 백색
개화기 : 6월,7월
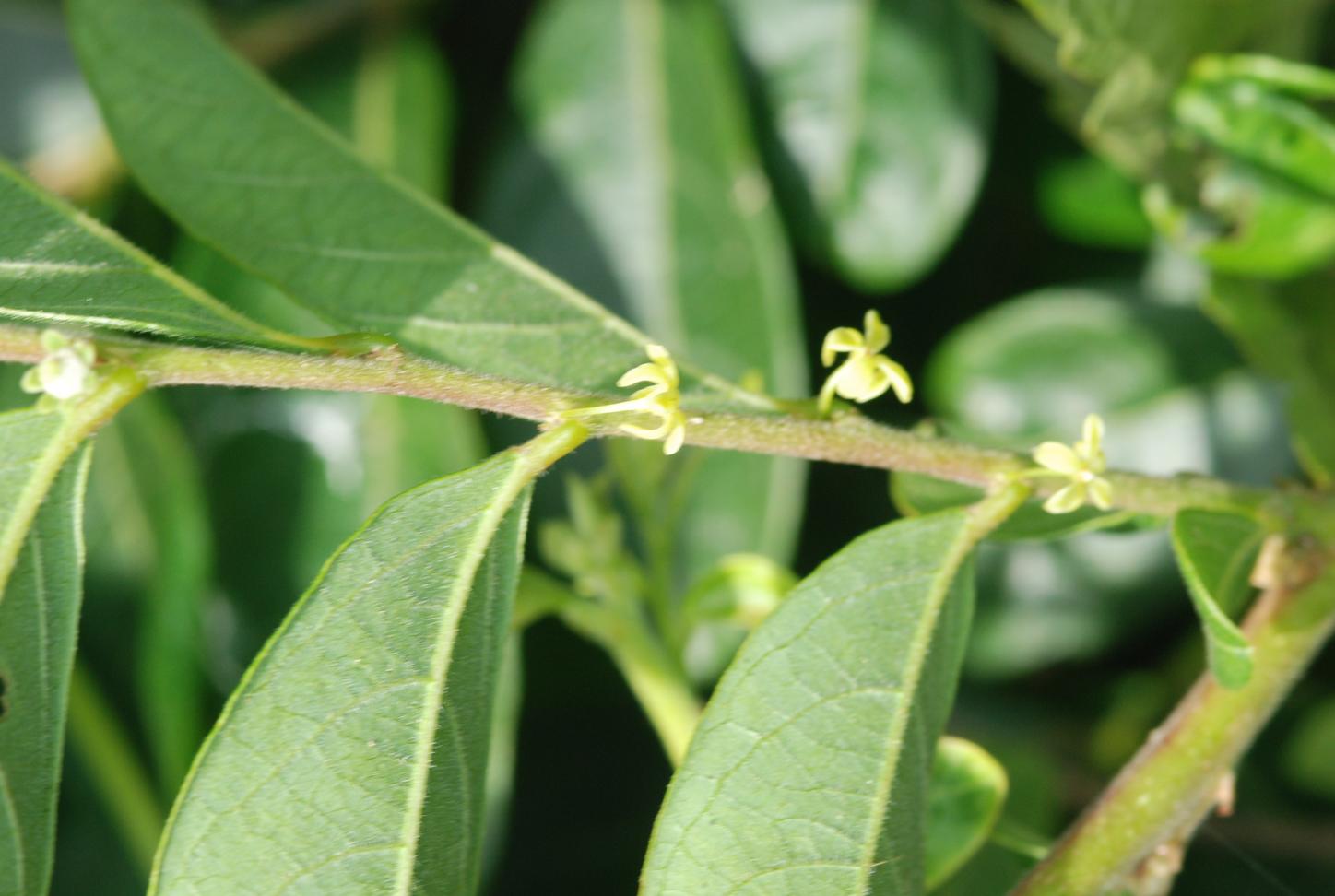
잎은 잎자루가 있으며 긴 타원 모양이다. 끝이 뭉뚝하거나 뾰족하고 털이 거의 없다. 겉면은 초록색 뒷면은 연한 초록색이다. 맥 주위에 하얀빛이 나는 털이 있다. 잎자루에는 부드러운 털이 있다.
꽃은 암술이나 수술만을 가지고 있어서 암꽃과 수꽃으로 구별된다. 수꽃은 잎겨드랑이에 여러 송이가 모여 달리고, 좁은 쐐기모양의 거꿀달걀모양, 둥근 모양이다. 꽃받침은 6장이다. 암꽃도 여러 송이가 모여 달리고 타원 같은 거꿀달걀모양, 둥근 모양이며 전부 하얀 털로 덮여 있다. 꽃받침은 수꽃과 똑같이 6장이다. 암술머리는 6개 또는 그 이상이며 하나로 합쳐져 있다. 씨방은 하얀색 털로 덮여 있다.
열매는 삭과고 움푹 들어간 둥근 공 모양이다. 6칸 또는 그 이상이다.
줄기는 빽빽하게 가지를 친다. 가지에 잿빛의 하얀 털이 있다.