검정사과하늘소

HOME > PHOTO > 어린이생물도감 > 검정사과하늘소
출처 : 국립수목원 어린이 생물도감 API 를 사용 중 입니다.
"사과하늘소속" ( 0 건 / 총 0 건 )

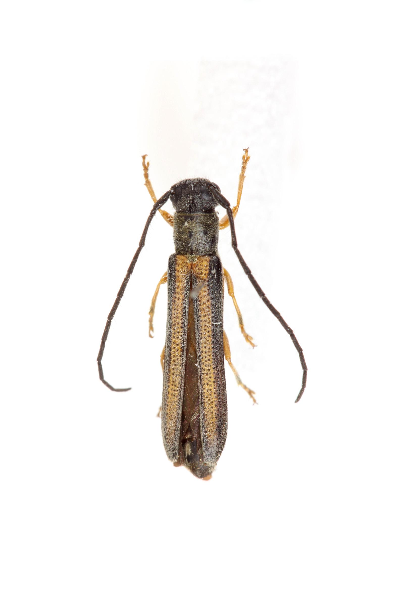
검정사과하늘소 / Oberea morio Kraatz, 1879

  곤충

  사과하늘소속 /

  하늘소과 / Cerambycidae

몸길이는 15.0~20.0 mm이다. 머리는 검은색이고, 부드러운 회색털과 검은색 긴 털로 덮여 있다. 정수리에는 얇은 세로 홈이 있으며, 크고 깊은 점무늬가 있다. 더듬이는 검은색이며, 몸 길이보다 짧다.
딱지날개의 끝부분은 뭉뚝하고, 날개가 시작되는 부분은 적갈색에서 노란색이다.
다리는 붉은 갈색에 노란 털이 나 있다.
앞가슴등판과 몸 배면은 검은색인데, 부드럽고 노란 털이 빽빽하게 나 있다.
배는 검은색이고 회색 털로 덮여 있다. 수컷은 복부 5번째 판의 일부가 삼각형으로 깊게 함몰되어 있으며, 암컷의 것은 볼록하고, 중앙에 세로 홈이 있다.
번데기일 때, 몸은 하얀색이고 길쭉하다. 머리는 짧고 이마는 볼록하다. 더듬이 사이에 세로 홈이 있고, 그 안쪽으로는 3개의 뻣뻣한 털이 가로 줄을 형성한다.
애벌레는 몸의 가장자리가 연한 노란색이다. 머리의 가장자리 양쪽은 평행하고, 절반이 앞가슴에 들어가 있는 모양이다. 입의 뒷편으로 연결된 겹주름은 볼록하고, 양쪽이 평행하다. 더듬이는 짧고 흰색이다. 이마방패는 넓둥글며, 짧고 억센 털들이 있다. 큰턱은 길쭉하고 끝으로 갈수록 좁아진다. 앞가슴등판은 머리 쪽으로 급경사지며, 등판은 볼록하다.
알에 대한 특징은 알려지지 않았다.
콩과의 식물과 관련이 있다. 국내에서는 알려진바 없으나, 러시아에서는 6~7월에 나타난다. 암컷은 큰턱으로 연한 식물에 상처를 낸 후, 알을 낳는다. 애벌레로 겨울을 난다.