구슬무늬원뿔나방

HOME > PHOTO > 어린이생물도감 > 구슬무늬원뿔나방
출처 : 국립수목원 어린이 생물도감 API 를 사용 중 입니다.
"원뿔나방속" ( 0 건 / 총 0 건 )

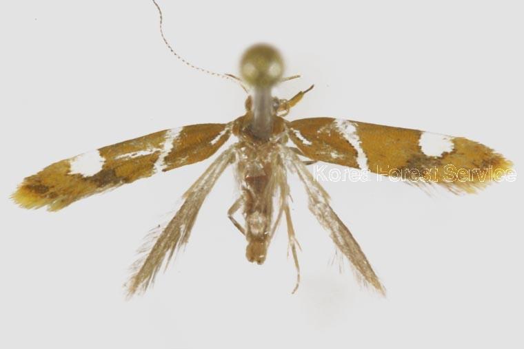
구슬무늬원뿔나방 / Promalactis suzukiella (Matsumura, 1931)

  곤충

  원뿔나방속 /

  원뿔나방과 / Oecophoridae

머리는 은빛 하얀색이고 가슴은 황갈색 혹은 오렌지색이다. 앞날개의 바탕색은 황갈색이고, 기부의 가로줄은 아주 작지만 둘째 가로줄은 앞 가장자리 1/4에서 시작하여 뒷 가장자리 중간까지 닿는다. 앞 가장자리 3/4 지점에 달걀 반쪽 모양의 흰색 무늬가 선명하여 구별이 쉽다.
수컷은 돌기와 생식기관이 잘 발달되어 있고, 암컷은 교미관이 길고, 교미주머니 속의 기관은 하나로 큰 것이 특징이다.
국내는 수원, 울산, 소흑산도에, 국외는 일본에 분포한다.