네모하늘소

출처 : 국립수목원 어린이 생물도감 API 를 사용 중 입니다.
"네모하늘소속" ( 0 건 / 총 0 건 )

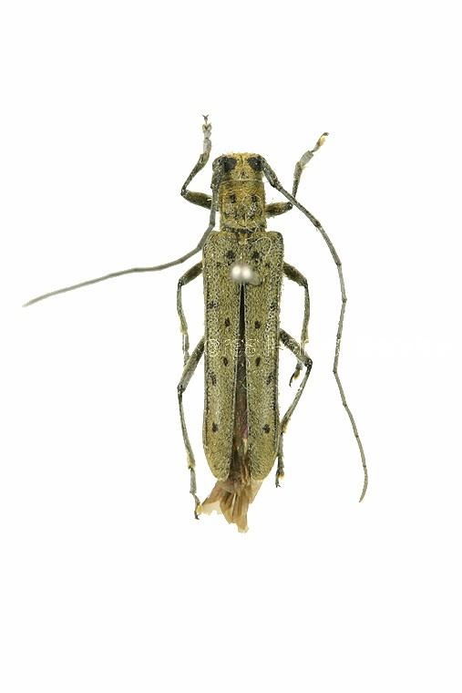
네모하늘소 / Eutetrapha sedecimpunctata (Motschulsky, 1860)

  곤충

  네모하늘소속 /

  하늘소과 / Cerambycidae

몸길이는14.0~20.0mm이다. 몸에는 전체적으로 밀착한 부드러운 노란 털과 작고 검은 점들이 흩어져 있다. 딱지날개 어깨 부분부터 말단까지 각이 이어지며 평행하다. 이마는 편평하고 깊은 점무늬들이 있으며, 좁은 세로선이 이마부터 정수리까지 이어진다. 앞가슴등판 중앙에는 4개의 작고 검은 점이 있다. 암수를 구별할 수 있는 차이점은 알려지지 않았다.
번데기일 때 몸은 길쭉하다. 머리 앞쪽이 볼록하고 윗입술 끝은 뾰족하다. 등에는 뻣뻣한 털들이 덮여 있다. 머리는 앞가슴등판보다 넓지 않다. 앞가슴등판은 볼록하며, 좁은 가로 홈이 있다. 애벌레 가슴판 뒷 가장자리에는 억센 털이 없고, 앞쪽 절반 부분에는 부드러운 털들이 가로 띠를 형성한다. 알은 흰색이며, 양쪽이 둥근 모양이다.
동아시아에서는 광엽수림에 서식한다. 6월 중 활동이 가장 많으며, 암컷은 일생 동안 약 24개의 알을 낳는다. 소나무류 중 베어진 것에 모이는 습성이 있다. 애벌레로 겨울을 난다.