대모자루맵시벌

HOME > PHOTO > 어린이생물도감 > 대모자루맵시벌
출처 : 국립수목원 어린이 생물도감 API 를 사용 중 입니다.
"대모뿔자루맵시벌속" ( 0 건 / 총 0 건 )

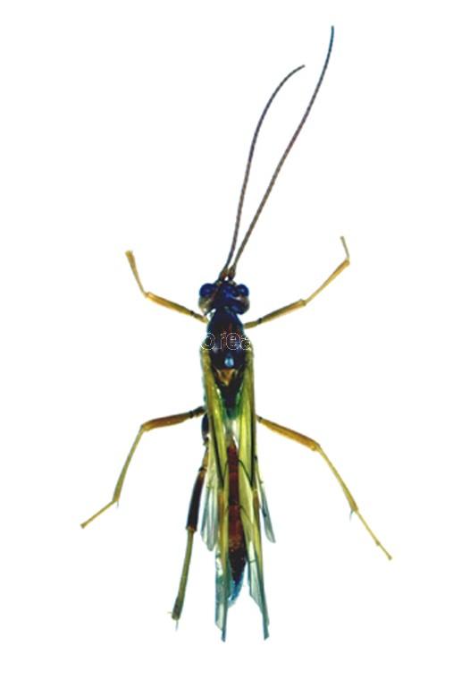
대모자루맵시벌 / Opheltes glaucopterus glaucopterus (Linne)

  곤충

  대모뿔자루맵시벌속 /

  맵시벌과 / Ichneumonidae

몸길이는 20~24mm이다. 몸은 어두운 노란색이고, 얼굴, 정수리, 가슴의 대부분은 검은색이며, 더듬이의 끝부분도 검은색이다. 더듬이는 몸 길이와 거의 같다.
배의 제 4배마디 끝부터 그 아래는 흑살색이다.
날개는 짙은 노란색이며 날개가 시작되는 부분은 약간 어두운 빛을 띤다.
6월에 많이 나타난다.