민꼬리납작맵시벌

HOME > PHOTO > 어린이생물도감 > 민꼬리납작맵시벌
출처 : 국립수목원 어린이 생물도감 API 를 사용 중 입니다.
"홋카이도오납작맵시벌속" ( 1 건 / 총 1 건 )
검정마디꼬리납작맵시벌

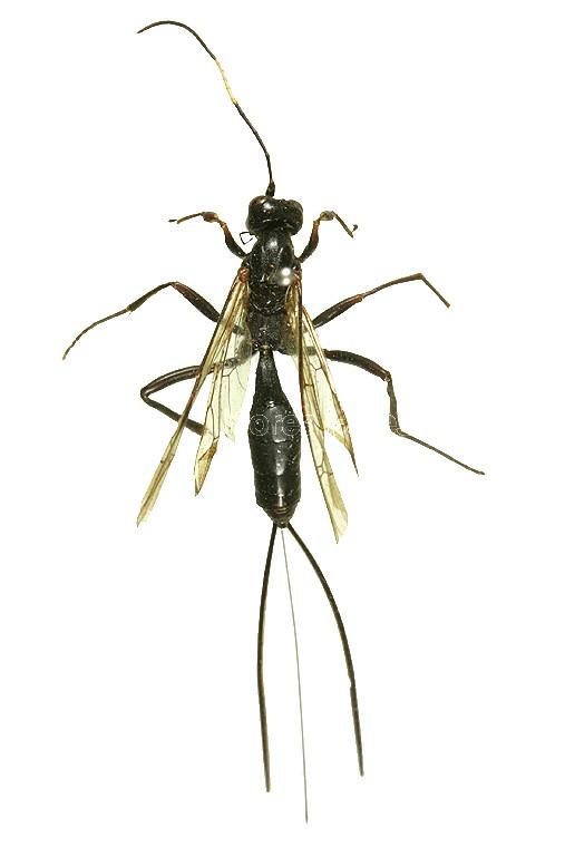
민꼬리납작맵시벌 / Pimpla parnarae (Viereck, 1912)

  곤충

  홋카이도오납작맵시벌속 /

  맵시벌과 / Ichneumonidae

몸은 검은색이고 날개는 약간 흐릿한 색이다. 앞다리에 있는 넓적다리마디의 안쪽과 끝, 종아리마디, 발목마디와 가운데다리의 넓적다리마디는 노란빛 갈색 또는 갈색이다. 앞날개의 경포는 마름모꼴이다. 뒷가슴 등면에 미세한 그물 모양의 조각이 있다.
검정마디꼬리납작벌과 비슷하게 생겼으나 제 1 배마디에 두 개의 갈고리 모양의 돌기가 없고 다소 둥글다. 각 배마디의 뒷부분에는 점무늬가 있으며, 몸의 것은 더 작다.
주로 4~6월에 채집되나 많지는 않다. 솔나방, 천막벌레나방, 배추흰나비, 큰쥐박각시, 청띠신선나비 등의 번데기에 기생한다.