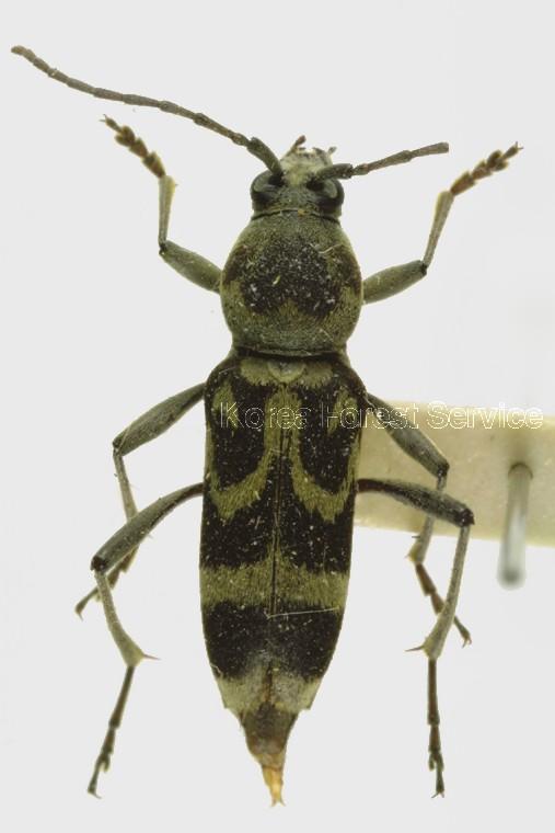
우리범하늘소

출처 : 국립수목원 어린이 생물도감 API 를 사용 중 입니다.
"범하늘소속" ( 1 건 / 총 1 건 )
가시범하늘소

우리범하늘소 / Chlorophorus motschulskyi (Ganglbauer, 1887)

  곤충

  범하늘소속 /

  하늘소과 / Cerambycidae

머리에는 솟아 오른 세로 줄무늬가 없다. 앞가슴등판의 길이는 너비보다 약간 길고 어수선한 점무늬들이 퍼져 있다. 앞가슴등판의 앞, 뒤 가장자리에는 매끈한 홈이 가로로 나 있다. 딱지날개의 길이는 너비의 약 2.4배이다. 또한 어깨 부분에는 회색의 부드러운 털로 이루어진 띠가 비스듬하게 있으며, 끝 부분에는 바깥을 향해 있는 돌기가 있다. 수컷의 더듬이는 딱지날개 중간에 이르지만 암컷의 것은 초과한다. 또한 수컷은 뒷다리의 넓적다리 마디가 딱지날개 끝 부분을 넘어가지만 암컷은 그렇지 않다.
번데기의 머리는 비교적 짧다. 이마는 볼록하고 더듬이 사이에는 움푹 들어가 있는 세로 줄이 있다. 이마방패와 윗입술의 중앙에도 같은 줄이 있다. 등은 볼록하고 뾰족한 가시들이 세 줄로 뒤쪽을 향해 나 있다.
애벌레의 머리는 앞쪽으로 좁아지며 이마봉합선은 없다. 이마방패는 짧고 사다리꼴이며 가장자리는 갈색이다. 윗입술은 볼록하고 앞부분은 넓고 둥글다. 큰턱이 시작되는 부분에는 깊은 가로 홈이 있다. 앞가슴등판은 머리 쪽으로 급격하게 경사가 져 있으며, 가로 점 2개가 있다.
알의 앞쪽 끝 부분은 좁고 둥글며 반대쪽은 넓고 둥글다. 난포막은 매끈하고 불투명하며, 미세한 문양이 있다.
참나무림에 서식한다. 꽃 위에서 생활하며 꽃가루를 모으기도 한다. 암컷은 평생 약 48개의 알을 낳는다. 다양한 꽃에 모이는 습성이 있으며 애벌레의 모습으로 겨울을 난다.