청줄하늘소

출처 : 국립수목원 어린이 생물도감 API 를 사용 중 입니다.
"홀쭉하늘소속" ( 0 건 / 총 0 건 )

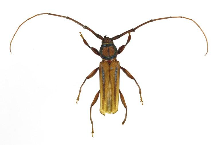
청줄하늘소 / Xystrocera globosa (Olivier, 1795)

  곤충

  홀쭉하늘소속 /

  하늘소과 / Cerambycidae

몸은 전체적으로 갈색이고, 광택이 있는 초록색 줄무늬가 있다. 머리 전체와 더듬이 첫 번째 마디는 황갈색이고, 가운데에 세로로 좁게 난 줄무늬가 있다. 더듬이 사이의 머리는 위로 부풀어 있고, 뒤쪽으로는 비스듬하다. 앞가슴은 가로로 길고, 옆면은 둥글며 돌기가 없다. 등판 뒷부분은 매끈하다. 딱지날개는 길이가 너비의 6배이고, 좁은 편이다. 딱지날개 끝 부분은 둥글다.
번데기의 앞가슴등판 옆쪽에는 돌기가 없다. 더듬이는 딱지날개를 돌아서 앞의 머리 부분까지 휘어져 있다.
애벌레의 머리는 가로가 더 긴 직사각형이고, 옆 가장자리는 오목하게 들어가 있다.
애벌레는 죽은 나무에서 생활하며, 관리된 숲이나 가까운 마을 등의 숲에서 산다. 밤이 되면 등불에 모여드는 습성이 있다. 애벌레의 모습으로 겨울을 난다.