향나무하늘소

출처 : 국립수목원 어린이 생물도감 API 를 사용 중 입니다.
"향나무하늘소속" ( 0 건 / 총 0 건 )

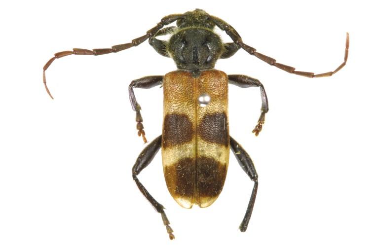
향나무하늘소 / Semanotus bifasciatus (Motschulsky, 1758)

  곤충

  향나무하늘소속 /

  하늘소과 / Cerambycidae

몸은 검은색이고 머리와 가슴에 긴 털이 나 있다. 날개는 연한 누런색이며 중심과 끝에 넓은 검은색 띠가 있다. 날개가 시작되는 부분에는 황갈색 띠가 있고, 앞가슴등쪽에는 3개의 돌기가 있다.
애벌레의 머리는 갈색이며 몸은 불투명한 흰색이다. 알은 타원형이고 황갈색이다.
겨울을 보낸 성충은 3~4월에 나무에서 탈출하여 껍질을 물어 뜯고 그 속에 알을 낳는다. 애벌레는 나무의 형성층을 불규칙하고 평평하게 먹어 들어가면서 굴 속에 똥을 채워 놓는다. 9월에 성장한 애벌레가 되면 물과 양분이 이동하는 통로 속으로 뚫고 들어가 번데기방을 만들고 번데기가 된다.
애벌레가 나무 껍질 밑의 형성층을 갉아 먹기 때문에 나무가 급격히 말라죽는다. 기운이 약한 나무에 피해를 주지만 개체 수가 늘어나면 건강한 나무에도 피해를 주며, 벌레똥을 밖으로 내보내지 않기 때문에 피해를 발견하기가 어렵다. 성충의 모습으로 피해를 준 나무에서 겨울을 보낸다.