홍가슴호랑하늘소

HOME > PHOTO > 어린이생물도감 > 홍가슴호랑하늘소
출처 : 국립수목원 어린이 생물도감 API 를 사용 중 입니다.

홍가슴호랑하늘소 / Xylotrechus rufilius Bates, 1884

  곤충

  호랑하늘소속 /

  하늘소과 / Cerambycidae

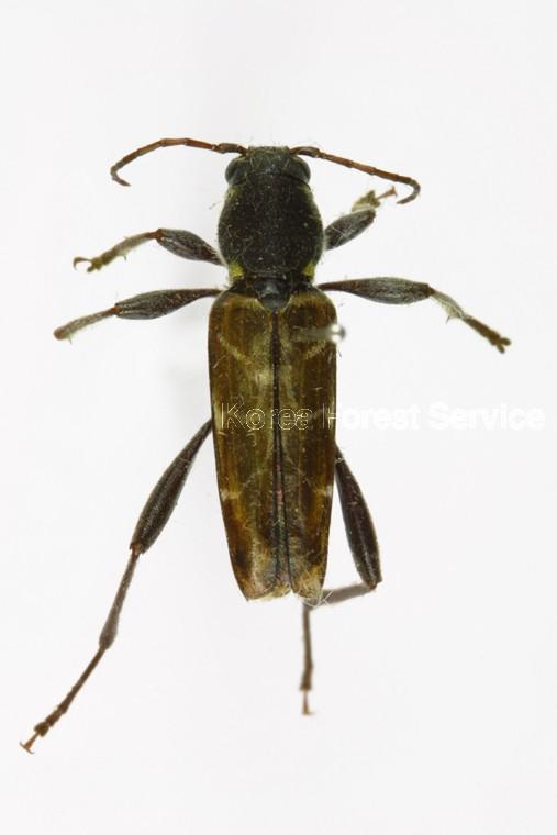
앞가슴등판은 전체적으로 붉은색을 띠며, 일부는 짙게 나타난다. 등판의 뒷부분은 검은색이고, 뒤쪽으로 노란색 부드러운 털이 모여 있다. 딱지날개는 검은색이다. 딱지날개가 시작되는 부분과 끝 부분에 흰색의 부드러운 털로 이루어진 띠가 가늘고 길게 나 있다. 딱지날개 끝에는 바깥을 향해 있는 작은 돌기가 있다. 이마 가운데에는 V모양으로 솟아 오른 세로선이 있다. 수컷은 뒷다리의 넓적다리마디가 딱지날개 끝에 닿지만, 암컷은 그렇지 않다.
번데기의 머리는 정수리에서 윤기가 나며 뻣뻣한 털이 없다. 이마는 튀어나와 있지만 양쪽 가장자리는 납작하다. 앞가슴등판은 볼록하고 옆부분은 둥글며, 뒤쪽 가장자리에는 가로로 나 있는 홈이 없다. 반면, 배의 등판에는 가운데 세로 홈이 있으며, 뒤쪽 절반에는 뾰족하고 억센 털들이 퍼져 있다.
애벌레의 몸은 하얀색이다. 머리는 앞으로 갈수록 좁고 둥근 모양이며, 앞가슴에 많이 들어가 있는 상태이다. 이마 구분선은 보이지 않는다. 더듬이는 길고, 첫 번째 마디는 끝으로 갈수록 좁아진다. 이마방패는 사다리꼴이고 시작되는 부분이 매우 넓다. 윗입술은 작다. 앞가슴등판은 볼록하며 너비가 길이의 2배이다. 배는 끝으로 갈수록 서서히 좁아진다.
알은 흰색이고 길쭉하며 양 끝이 둥글다.
낙엽수가 모인 숲에 서식한다. 러시아에서는 성충이 7월에 나타난다. 암컷은 먹이 식물의 나무 껍질 틈에 알을 낳으며 성충이 될 때까지 2년이 걸리는 것으로 알려져 있다. 잘린 광엽수에 모여들며, 특히 참나무가 쌓인 곳에서 쉽게 볼 수 있다. 애벌레의 모습으로 겨울을 난다.