Home
KOREA
PHOTO
SEARCH
관리
곤충도감
HOME
>
PHOTO
> 곤충도감
강도래목
나비목
날도래목
노린재목
대벌레목
딱정벌레목
메뚜기목
밑들이목
바퀴목
뱀잠자리목
벌목
이목
잠자리목
좀목
집게벌레목
총채벌레목
파리목
하루살이목
출처 : 국립수목원
곤충도감 API
를 사용 중 입니다.
검색
송장헤엄치게
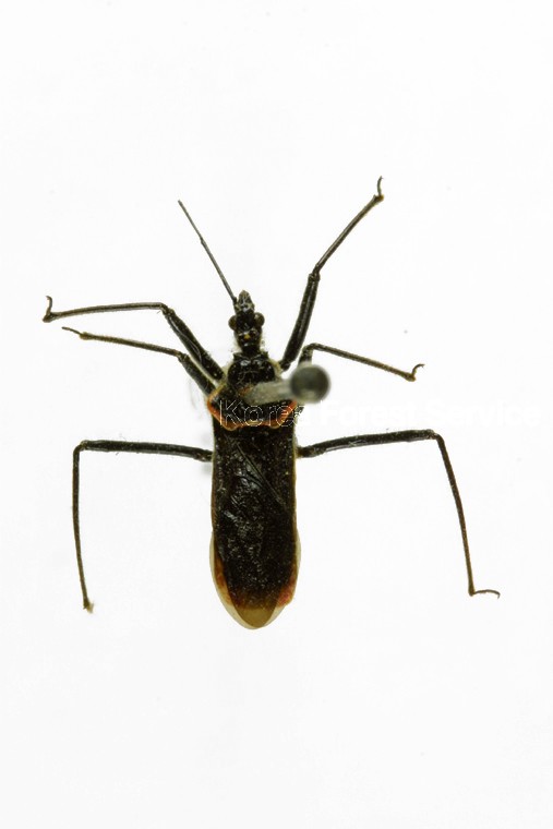
배홍무늬침노린재
가는못털진딧물
고려버들머리매미충
눈박이알노린재
남방뿔노린재
물자라
긴날개쐐기노린재
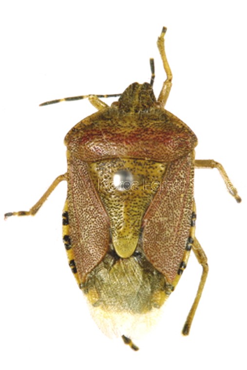
두점박이노린재
애기노린재
이전
1 / 86
다음
이메일 등록
×
구독 할 이메일을 입력하세요.