Home
KOREA
PHOTO
SEARCH
관리
곤충도감
HOME
>
PHOTO
> 곤충도감
강도래목
나비목
날도래목
노린재목
대벌레목
딱정벌레목
메뚜기목
밑들이목
바퀴목
뱀잠자리목
벌목
이목
잠자리목
좀목
집게벌레목
총채벌레목
파리목
하루살이목
출처 : 국립수목원
곤충도감 API
를 사용 중 입니다.
검색
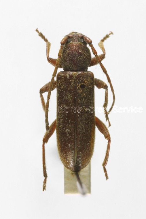
단송넓적하늘소
사돈물땡땡이
두줄무늬가시털바구미
수도길쭉먼지벌레
점박이염소하늘소
모시금자라남생이잎벌레
긴점무당벌레
벼뿌리잎벌레
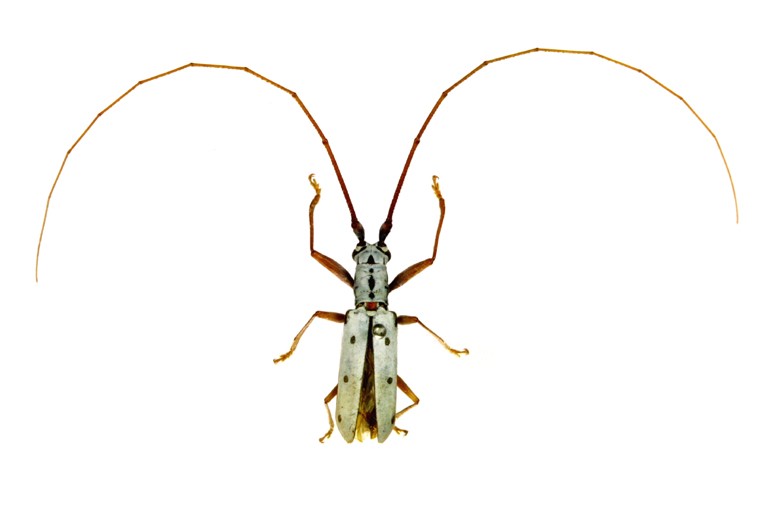
가시수염범하늘소
줄무늬물방개
이전
10 / 160
다음
이메일 등록
×
구독 할 이메일을 입력하세요.