Home
KOREA
PHOTO
SEARCH
관리
곤충도감
HOME
>
PHOTO
> 곤충도감
강도래목
나비목
날도래목
노린재목
대벌레목
딱정벌레목
메뚜기목
밑들이목
바퀴목
뱀잠자리목
벌목
이목
잠자리목
좀목
집게벌레목
총채벌레목
파리목
하루살이목
출처 : 국립수목원
곤충도감 API
를 사용 중 입니다.
검색
왕주둥이바구미
점박이꽃무지
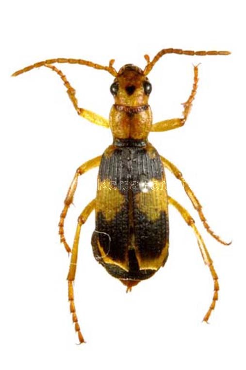
노랑머리먼지벌레
열두점박이꽃하늘소
적갈색긴가슴잎벌레
모래무지물방개
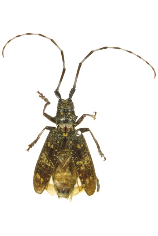
두꺼비하늘소
네눈박이거위벌레
벌호랑하늘소
애기윤머리먼지벌레
이전
19 / 160
다음
이메일 등록
×
구독 할 이메일을 입력하세요.