Home
KOREA
PHOTO
SEARCH
관리
곤충도감
HOME
>
PHOTO
> 곤충도감
강도래목
나비목
날도래목
노린재목
대벌레목
딱정벌레목
메뚜기목
밑들이목
바퀴목
뱀잠자리목
벌목
이목
잠자리목
좀목
집게벌레목
총채벌레목
파리목
하루살이목
출처 : 국립수목원
곤충도감 API
를 사용 중 입니다.
검색
닮은밤바구미
렌지소똥풍뎅이
윤조롱박딱정벌레
뜰길앞잡이
흑선두리먼지벌레
팽나무알락거위벌레
둥근풍뎅이붙이
꼬마외뿔소똥풍뎅이
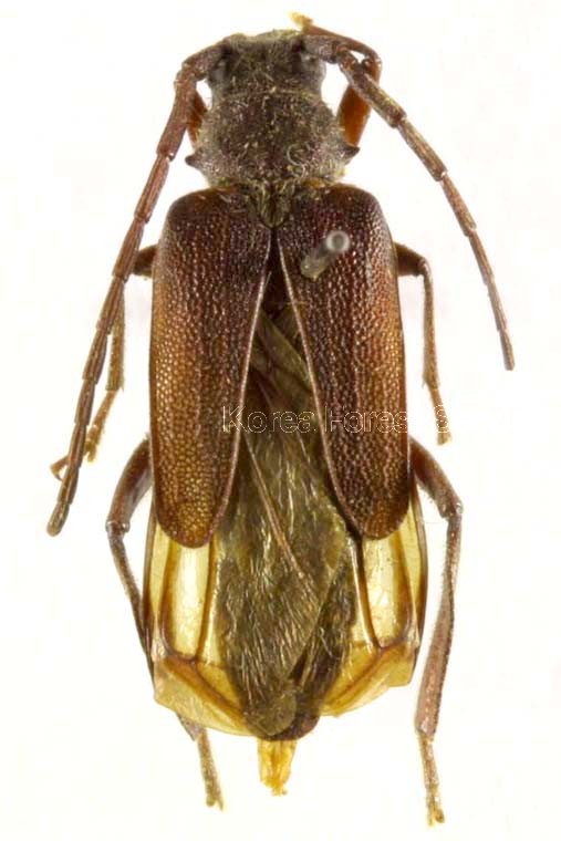
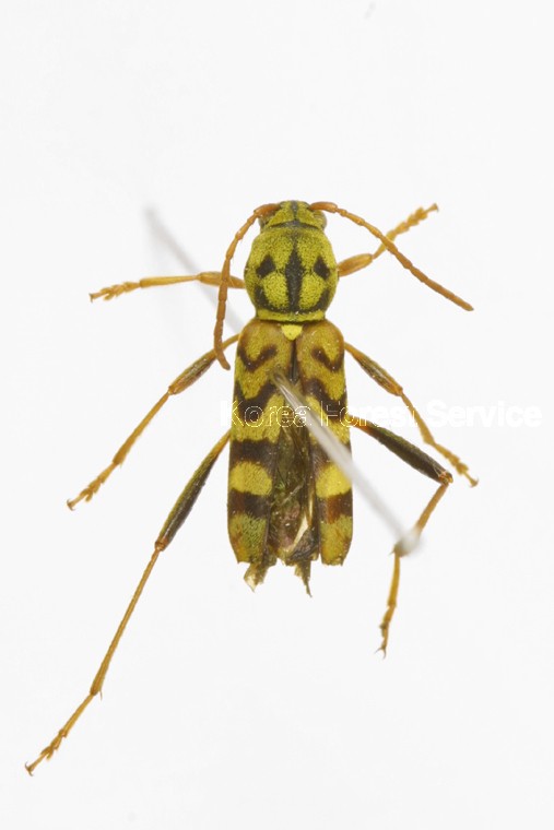
산줄각시하늘소
노랑무늬의병벌레
이전
25 / 160
다음
이메일 등록
×
구독 할 이메일을 입력하세요.