Home
KOREA
PHOTO
SEARCH
관리
곤충도감
HOME
>
PHOTO
> 곤충도감
강도래목
나비목
날도래목
노린재목
대벌레목
딱정벌레목
메뚜기목
밑들이목
바퀴목
뱀잠자리목
벌목
이목
잠자리목
좀목
집게벌레목
총채벌레목
파리목
하루살이목
출처 : 국립수목원
곤충도감 API
를 사용 중 입니다.
검색
수염머리먼지벌레
먹무늬똥풍뎅이
호리길쭉먼지벌레
흑다색우단풍뎅이
팔공우리딱정벌레
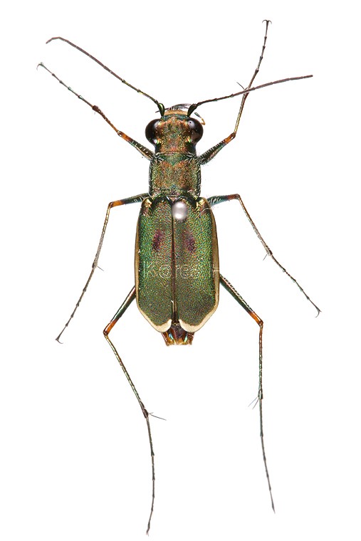
큰명주딱정벌레
싸리남색거위벌레
남방폭탄먼지벌레
딸기잎벌레
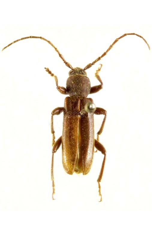
길쭉소바구미
이전
31 / 160
다음
이메일 등록
×
구독 할 이메일을 입력하세요.