Home
KOREA
PHOTO
SEARCH
관리
곤충도감
HOME
>
PHOTO
> 곤충도감
강도래목
나비목
날도래목
노린재목
대벌레목
딱정벌레목
메뚜기목
밑들이목
바퀴목
뱀잠자리목
벌목
이목
잠자리목
좀목
집게벌레목
총채벌레목
파리목
하루살이목
출처 : 국립수목원
곤충도감 API
를 사용 중 입니다.
검색
강원길쭉먼지벌레
홍다리꽃방아벌레
참송장풍뎅이
풍이
하세가와다색우단풍뎅이
참머리먼지벌레
큰점박이똥풍뎅이
목가는먼지벌레
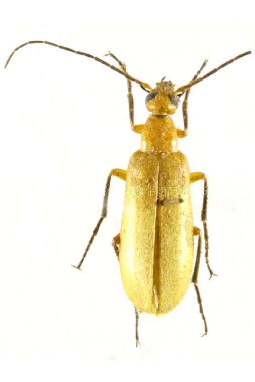
황가뢰
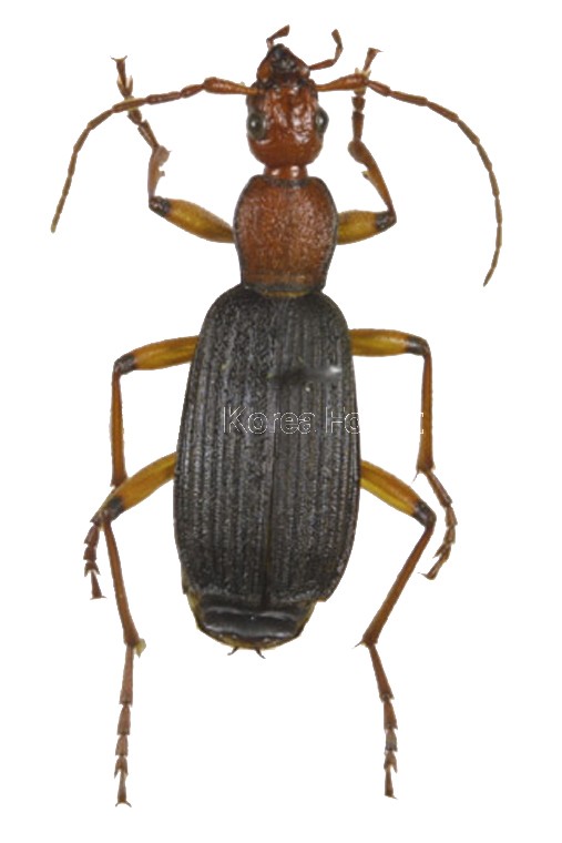
줄딱부리강변먼지벌레
이전
59 / 160
다음
이메일 등록
×
구독 할 이메일을 입력하세요.