Home
KOREA
PHOTO
SEARCH
관리
곤충도감
HOME
>
PHOTO
> 곤충도감
강도래목
나비목
날도래목
노린재목
대벌레목
딱정벌레목
메뚜기목
밑들이목
바퀴목
뱀잠자리목
벌목
이목
잠자리목
좀목
집게벌레목
총채벌레목
파리목
하루살이목
출처 : 국립수목원
곤충도감 API
를 사용 중 입니다.
검색
쌍색수염잎벌레
금색우단풍뎅이
주홍버섯소바구미
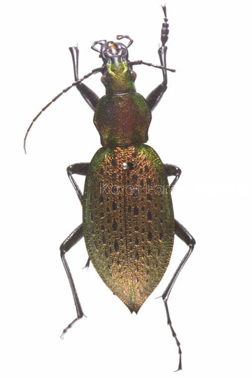
남방폭탄먼지벌레
제주점줄애딱정벌레
왕쌍무늬먼지벌레
개미붙이
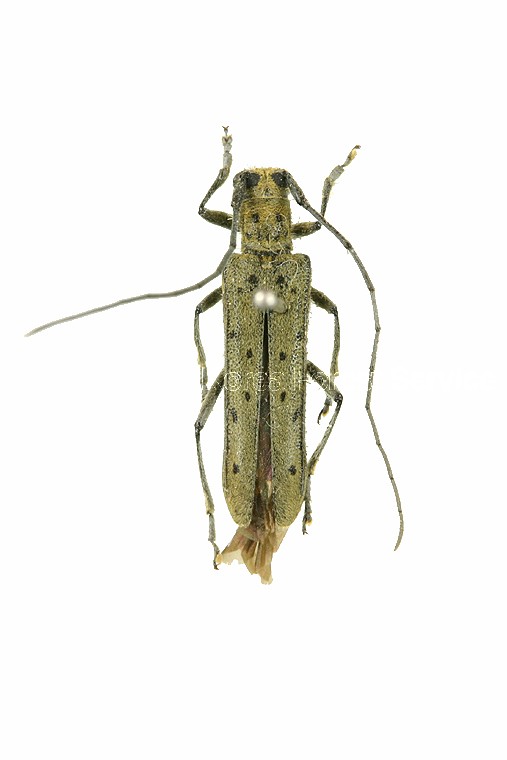
노랑띠하늘소
왕송장풍뎅이
큰금줄풍뎅이
이전
6 / 160
다음
이메일 등록
×
구독 할 이메일을 입력하세요.