Home
KOREA
PHOTO
SEARCH
관리
곤충도감
HOME
>
PHOTO
> 곤충도감
강도래목
나비목
날도래목
노린재목
대벌레목
딱정벌레목
메뚜기목
밑들이목
바퀴목
뱀잠자리목
벌목
이목
잠자리목
좀목
집게벌레목
총채벌레목
파리목
하루살이목
출처 : 국립수목원
곤충도감 API
를 사용 중 입니다.
검색
가시털바구미
비로봉잎벌레
강원길쭉먼지벌레
고려나무쑤시기
강변먼지벌레붙이
외발톱잎벌레
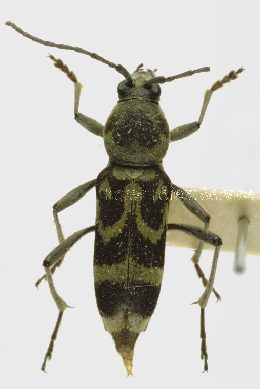
테두리염소하늘소
중국먼지벌레
남두꺼비딱정벌레
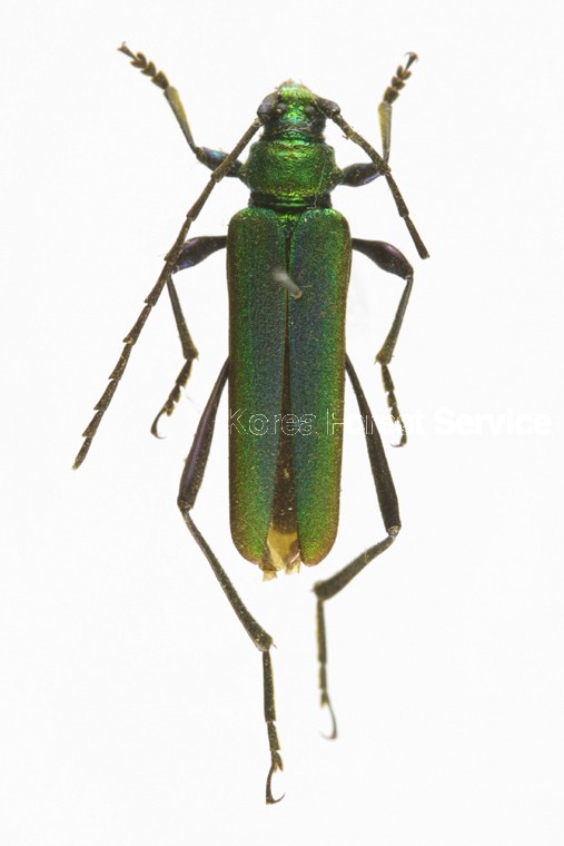
붉은산꽃하늘소
이전
66 / 160
다음
이메일 등록
×
구독 할 이메일을 입력하세요.